Spezialisierte Gutachten für eine gesunde Zucht

Unsere Leistungen im Überblick

Wir bieten eine Reihe spezialisierter Gutachten an, die auf die Bedürfnisse von Züchtern, Tierärzten und privaten Hundehaltern zugeschnitten sind.

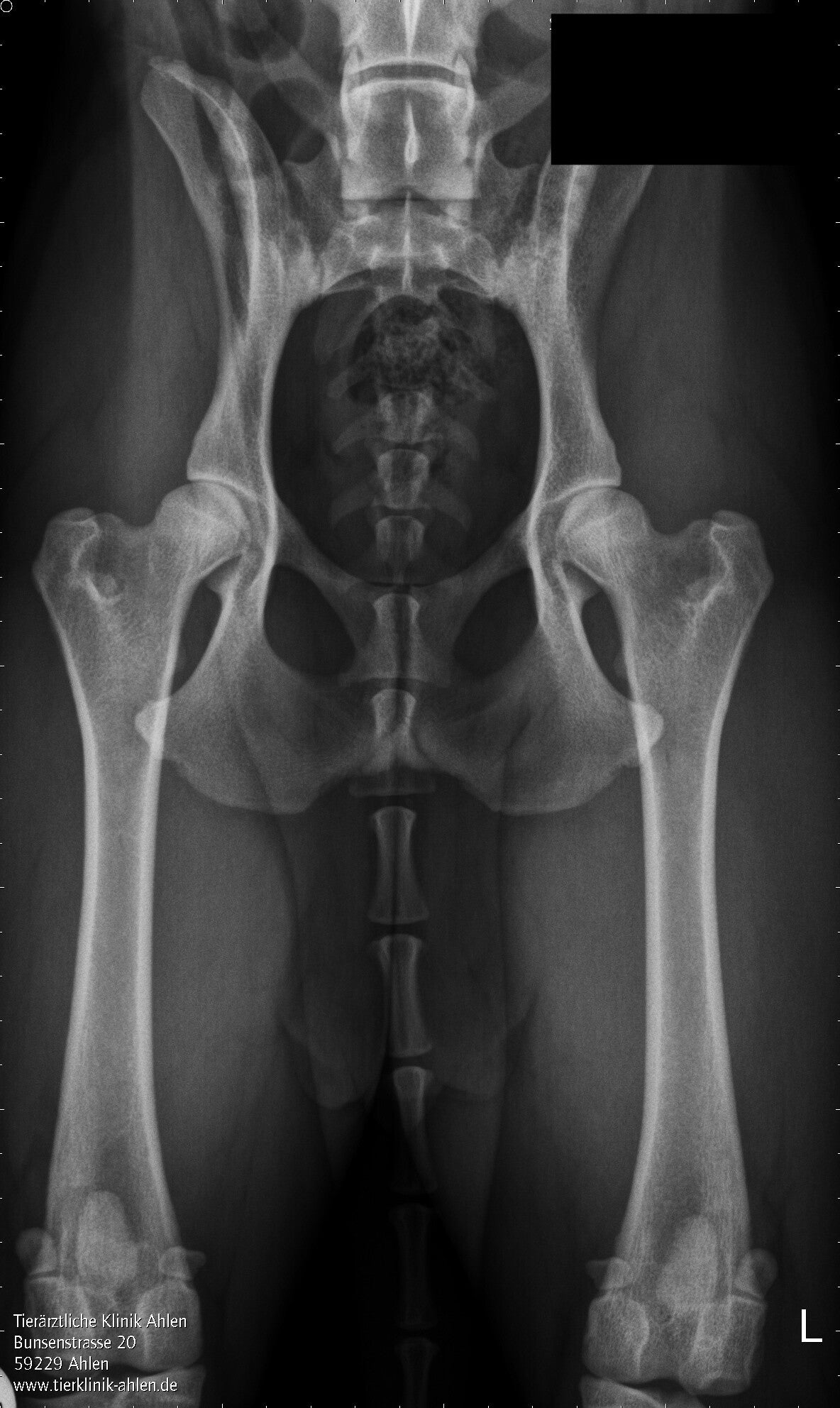
HD-Gutachten

Beurteilung der Hüftgelenke auf Hüftgelenksdysplasie nach FCI-Schema. 

ED-, OCD-, LÜW-& Spondylosegutachten

Bewertung von Ellbogengelenken (ED) nach IEWG, Schultern (OCD) und Wirbelsäulen (Spondylose) für rassespezifische Anforderungen.

Privatgutachten

Gutachten für Hunde, die keinem oder einem ausländischen Rassehundezuchtverein angehören – für Ihre persönliche Sicherheit.

Ihr Vorteil: schnelle Bearbeitung

Die Bearbeitungszeit beträgt nach Eingang aller korrekt ausgefüllten Unterlagen sowie der korrekt gelagerten Röntgenaufnahmen in der Regel 14 Tage.

Umfassende Diagnostik für Rassezuchtvereine

Die HD-Zentrale Dr. Silke Viefhues betreut aktuell 46 Rassehundezuchtvereine und erstellt für diese spezialisierte HD-, ED-, OCD- und Spondylosegutachten. 

Individuelle Gutachten für alle Hunde

Neben der Betreuung von Zuchtvereinen erstellen wir auch Privatgutachten für Hunde, die keinem oder einem ausländischen Rassehundezuchtverein angehören sowie für Assistenzhunde. Dies ermöglicht allen Hundehaltern Zugang zu unseren hochwertigen diagnostischen Dienstleistungen, um die Gesundheit ihrer Tiere zu gewährleisten.

Erstelle deine eigene Website mit Webador